Polegate and Willingdon Medical Centre
We are moving forward with plans to create a modern, purpose-built medical centre in Polegate and Willingdon. This new facility responds to a critical shortage in local GP services and represents a major step toward improving healthcare for current and future residents.
The centre is designed to meet growing healthcare needs by providing a high-quality, sustainable facility for two GP practices. Our goal is to improve access to care, support new models of integrated health delivery, and promote long-term wellbeing across the area.
The centre will be located at the Hindsland site, which was approved in June 2025 following detailed feasibility studies. This location was chosen for its existing planning permission, good infrastructure links, and minimal ecological impact.
A New Standard of Healthcare Design
The building will be up to three storeys high, fully accessible, and step-free throughout. It will offer 85 parking spaces, four accessible bays, and ambulance access. Patients will have access to a welcoming reception, waiting areas, and an on-site pharmacy.
The centre will meet BREEAM Excellent standards, with low-carbon materials, solar panels, and efficient energy systems. It’s designed for long-term flexibility, with potential for weekend services.
Designed for Everyone
This project goes beyond healthcare. It supports the wellbeing of our whole community by easing pressure on local hospitals, creating new employment opportunities, and bringing more foot traffic to nearby retail businesses. At the same time, we're embedding sustainability into every part of the design. Active travel is encouraged with pedestrian access, bike storage, and electric vehicle charging. Materials will be recyclable and locally sourced where possible, in line with our commitment to the circular economy.
This project aligns with both NHS sustainability goals and our local Climate Emergency Plan, helping us take meaningful steps toward a net-zero future.
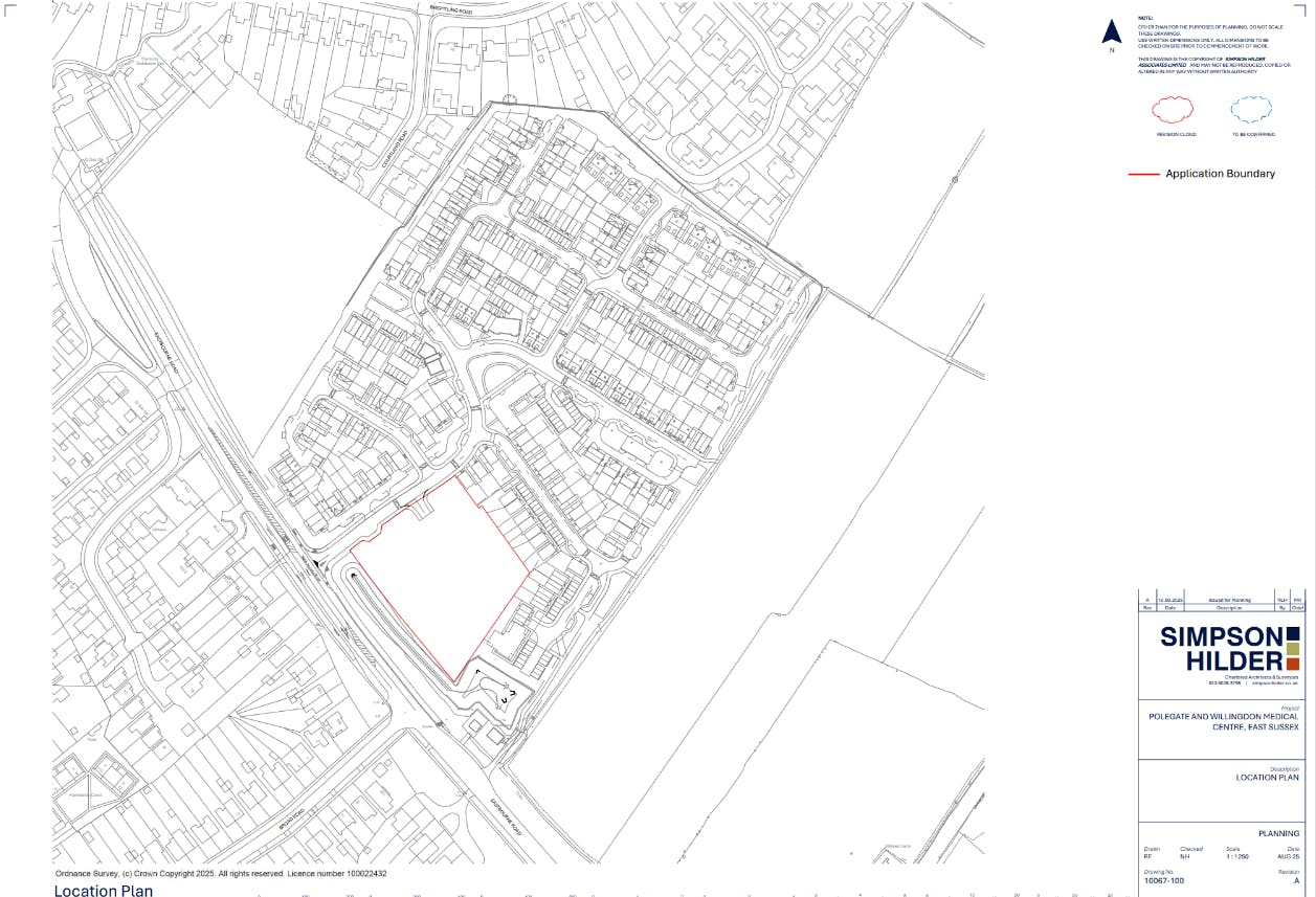
 Site Plan - September 2025
Site Plan - September 2025We are moving forward with plans to create a modern, purpose-built medical centre in Polegate and Willingdon. This new facility responds to a critical shortage in local GP services and represents a major step toward improving healthcare for current and future residents.
The centre is designed to meet growing healthcare needs by providing a high-quality, sustainable facility for two GP practices. Our goal is to improve access to care, support new models of integrated health delivery, and promote long-term wellbeing across the area.
The centre will be located at the Hindsland site, which was approved in June 2025 following detailed feasibility studies. This location was chosen for its existing planning permission, good infrastructure links, and minimal ecological impact.
A New Standard of Healthcare Design
The building will be up to three storeys high, fully accessible, and step-free throughout. It will offer 85 parking spaces, four accessible bays, and ambulance access. Patients will have access to a welcoming reception, waiting areas, and an on-site pharmacy.
The centre will meet BREEAM Excellent standards, with low-carbon materials, solar panels, and efficient energy systems. It’s designed for long-term flexibility, with potential for weekend services.
Designed for Everyone
This project goes beyond healthcare. It supports the wellbeing of our whole community by easing pressure on local hospitals, creating new employment opportunities, and bringing more foot traffic to nearby retail businesses. At the same time, we're embedding sustainability into every part of the design. Active travel is encouraged with pedestrian access, bike storage, and electric vehicle charging. Materials will be recyclable and locally sourced where possible, in line with our commitment to the circular economy.
This project aligns with both NHS sustainability goals and our local Climate Emergency Plan, helping us take meaningful steps toward a net-zero future.
 Site Plan - September 2025
Site Plan - September 2025Ask us a question
- 
Share Why can’t you just get a move on and BUILD IT? on Facebook Share Why can’t you just get a move on and BUILD IT? on Twitter Share Why can’t you just get a move on and BUILD IT? on Linkedin Email Why can’t you just get a move on and BUILD IT? linkWhy can’t you just get a move on and BUILD IT?Jack Foley asked about 17 hours agoHi Jack, This project is currently going through the design stage, this needs to be undertaken before site work can progress. We're hoping to start construction in summer 2026. Please refer to our timeline on this project page for the progress update. 
- 
Share When?… on Facebook Share When?… on Twitter Share When?… on Linkedin Email When?… linkWhen?…Mike asked 1 day agoHi Mike, We are aiming for a completion date of winter 2027/2028. Please refer to the timeline on this project page to follow the progress. 
- 
Share It is unclear from the map excerpt provided where the access road will be. Will there be another access road joining the A2270? on Facebook Share It is unclear from the map excerpt provided where the access road will be. Will there be another access road joining the A2270? on Twitter Share It is unclear from the map excerpt provided where the access road will be. Will there be another access road joining the A2270? on Linkedin Email It is unclear from the map excerpt provided where the access road will be. Will there be another access road joining the A2270? linkIt is unclear from the map excerpt provided where the access road will be. Will there be another access road joining the A2270?Moy asked 2 days agoHi Moy, The development will be accessed from Eastbourne Road via a ghost island T junction 90m north of the Broad Road junction. The delivery of the main access road into the wider development is being completed by the residential developer. Within the residential estate there will be another T junction into the Medical Centre site. 
- 
Share Where is the access from? The A2270? on Facebook Share Where is the access from? The A2270? on Twitter Share Where is the access from? The A2270? on Linkedin Email Where is the access from? The A2270? linkWhere is the access from? The A2270?Peabrook asked 1 day agoHi Peabrook, This will be accessed from Eastbourne Road via a ghost island T junction 90m north of the Broad Road junction. The delivery of the main access road into the wider development is being completed by the residential developer. Within the residential estate there will be another T junction into the Medical Centre site. 
- 
Share Does that mean manor Park surgery will be closing? on Facebook Share Does that mean manor Park surgery will be closing? on Twitter Share Does that mean manor Park surgery will be closing? on Linkedin Email Does that mean manor Park surgery will be closing? linkDoes that mean manor Park surgery will be closing?Tamara asked 1 day agoHi Tamara, Conversations to date have been to relocate Manor Park to the new building. However, this is yet to confirmed and patient lists will be consulted as part of the NHS Sussex Integrated Care Board's governance process. 
- 
Share Will there be a roundabout on the main road to get in and out of the medical centre? on Facebook Share Will there be a roundabout on the main road to get in and out of the medical centre? on Twitter Share Will there be a roundabout on the main road to get in and out of the medical centre? on Linkedin Email Will there be a roundabout on the main road to get in and out of the medical centre? linkWill there be a roundabout on the main road to get in and out of the medical centre?chris.cleland asked 2 days agoHi Chris, No, the development will be accessed from Eastbourne Road via a ghost island T junction 
 90m north of the Broad Road junction. The delivery of the main access road into the wider development is being completed by the residential developer. Within the residential estate there will be another T junction into the Medical Centre site.
- 
Share Is this on target? on Facebook Share Is this on target? on Twitter Share Is this on target? on Linkedin Email Is this on target? linkIs this on target?Gina asked 6 days agoHi Gina, Yes, currently the project is on programme. 
- 
Share i notice that there will be 85 regular and 4 disabled parking bays, but one wonders how many of these will be taken up by staff parking? and as for just 4 disability bays thats not enough, we live i'm afraid in an elderly persons area (i and my wife are 80 and have extreme walking disabilities) and would need to use our car on Facebook Share i notice that there will be 85 regular and 4 disabled parking bays, but one wonders how many of these will be taken up by staff parking? and as for just 4 disability bays thats not enough, we live i'm afraid in an elderly persons area (i and my wife are 80 and have extreme walking disabilities) and would need to use our car on Twitter Share i notice that there will be 85 regular and 4 disabled parking bays, but one wonders how many of these will be taken up by staff parking? and as for just 4 disability bays thats not enough, we live i'm afraid in an elderly persons area (i and my wife are 80 and have extreme walking disabilities) and would need to use our car on Linkedin Email i notice that there will be 85 regular and 4 disabled parking bays, but one wonders how many of these will be taken up by staff parking? and as for just 4 disability bays thats not enough, we live i'm afraid in an elderly persons area (i and my wife are 80 and have extreme walking disabilities) and would need to use our car linki notice that there will be 85 regular and 4 disabled parking bays, but one wonders how many of these will be taken up by staff parking? and as for just 4 disability bays thats not enough, we live i'm afraid in an elderly persons area (i and my wife are 80 and have extreme walking disabilities) and would need to use our carDennis Worrell asked about 1 month agoHi Dennis,The provision of 85 spaces is based on three parking spaces per consulting room, plus allowance for administrative staff. This level of parking would allow the GP for each consulting room, plus a current and future patient of each to all be parked at the site at one time, as well as administrative staff. This approach therefore assumes a large proportion of users would arrive by car, albeit some patients and staff will be able (and encouraged) to arrive without the need for a car.The site is accessible via active travel modes from the neighbouring residential areas and various sustainable transport modes, in particular the extensive nearby bus network. Provision of four blue badge spaces is in accordance with planning policy. In addition, four spaces are also available for car share users which are also located in preferential locations for step-free access to/from the entrance. A pick-up/drop-off bay is also located in this area for those whose passenger has mobility difficulties, and the driver can then park in a different part of the car park.
- 
Share Dear Mr. Chatfield, may I enquire as to the procurement process for the construction contract. We're a local SME that has delivered similar projects and worked for WDC previously. Thank you. on Facebook Share Dear Mr. Chatfield, may I enquire as to the procurement process for the construction contract. We're a local SME that has delivered similar projects and worked for WDC previously. Thank you. on Twitter Share Dear Mr. Chatfield, may I enquire as to the procurement process for the construction contract. We're a local SME that has delivered similar projects and worked for WDC previously. Thank you. on Linkedin Email Dear Mr. Chatfield, may I enquire as to the procurement process for the construction contract. We're a local SME that has delivered similar projects and worked for WDC previously. Thank you. linkDear Mr. Chatfield, may I enquire as to the procurement process for the construction contract. We're a local SME that has delivered similar projects and worked for WDC previously. Thank you.Matthew Barker asked about 1 month agoHi Matthew,We are currently in the process of a two-stage tender exercise for this project. More information can be found here:Procurement Portal: https://in-tendhost.co.uk/esph/aspx/ProjectManage/5Find a Tender: https://www.find-tender.service.gov.uk/Notice/058839-2025
- 
Share How will this be staffed? There is already a short supply of water, will this affect existing residents. Not sure, does the height exceed the height of the houses already built? on Facebook Share How will this be staffed? There is already a short supply of water, will this affect existing residents. Not sure, does the height exceed the height of the houses already built? on Twitter Share How will this be staffed? There is already a short supply of water, will this affect existing residents. Not sure, does the height exceed the height of the houses already built? on Linkedin Email How will this be staffed? There is already a short supply of water, will this affect existing residents. Not sure, does the height exceed the height of the houses already built? linkHow will this be staffed? There is already a short supply of water, will this affect existing residents. Not sure, does the height exceed the height of the houses already built?Ginny asked about 1 month agoHi Ginny,The statutory water supply provider for the Polegate and Willingdon area is South East Water. As part of the planning process, they are consulted to confirm that there is enough capacity in the local network to supply the proposed medical centre. If any upgrades or new connections are needed, these will be managed through South East Water’s standard connection process after planning approval.Due to the nature and use of the building the floor heights need to be greater than that found in a typical house. The medical centre has three stories as opposed to the traditional two found in the surrounding houses. A flat roof design has been utilised to assist in reducing the height of the building which results in a building marginally higher than some of the pitched roof houses. There are apartment blocks within the site which are 3 storey and combined with their pitched roofs are comparable or taller than the proposed medical centre.To get a greater understanding of the heights and levels refer to drawing 10067-105A-SITE SECTIONS in the planning application which provides a clear indication of the building heights in relation to its surroundings.
Timeline
- 
Feasibility studies undertakenPolegate and Willingdon Medical Centre has finished this stageSpring 2025 
- 
Hindsland site chosenPolegate and Willingdon Medical Centre has finished this stageJune 2025 
- 
RIBA Stage 3 DesignPolegate and Willingdon Medical Centre has finished this stageSummer 2025. 
- 
Submission of a reserved matters planning application and design workPolegate and Willingdon Medical Centre is currently at this stageSubmitted September 2025 Planning Register - Wealden District Council 
- 
Final decision to award the contract and commit the full budget to Cabinetthis is an upcoming stage for Polegate and Willingdon Medical CentreWinter 2025/26. 
- 
Construction Startthis is an upcoming stage for Polegate and Willingdon Medical CentreSummer 2026. 
- 
Project Completionthis is an upcoming stage for Polegate and Willingdon Medical CentreWinter 2027/2028. 
FAQs
- Which GP Practices will occupy the building once it is completed?
- How many doctors is it envisaged will be employed at the site going forward?
- How will the operational costs be met? i.e. The operational funding for the day to day running costs after the centre is built?
- How are people who do not live in walking distance and rely on public transport expected to get to the site, as it is not on the bus routes?
- As an alternative site, could the old police station sites in the centre of Polegate be used?
Useful Links
- Sept 2025 - Application for approval of reserved matters (APPEARANCE, LANDSCAPING, LAYOUT, AND SCALE FOR A NEW MEDICAL CENTRE WITH ASSOCIATED PARKING AND LANDSCAPING)
- Polegate and Willingdon Medical Centre discussed at Cabinet 11 Dec 2024
- Planning Application for for up to 180 dwellings and medical centre at Hindsland, Eastbourne Road, Lower Willingdon, BN20 9NU
- Planning Application for up to 700 dwellings, 8,600 sq.m of employment floorspace, Medical centre, School, Community Centre, Retail, Playing Fields, Play space, Allotments at Mornings Mill Farm, Eastbourne Road, Lower Willingdon, BN20 9NY
- Sussex Integrated Care System Estates and Infrastructure Strategy Summary (August 2024)
Plans
Who's Listening
- 
HC
 
 




Thank you for your contribution!
Help us reach out to more people in the community
Share this with family and friends